1987 in the Philippines
| |||||
| Decades: |
| ||||
|---|---|---|---|---|---|
| See also: | |||||
1987 in the Philippines details events of note that happened in the Philippines in the year 1987.
Incumbents

- President: Corazon Aquino (UNIDO)
- Vice President: Salvador Laurel (UNIDO)
- Chief Justice: Claudio Teehankee (1986–88)
- Philippine Congress: 8th Congress of the Philippines
- Senate President: Jovito Salonga (Liberal)
- House Speaker: Ramon V. Mitra, Jr. (LDP, 2nd District Palawan)
Events
January
- January 4 – A government proposal for autonomy in 4 Muslim-dominated provinces in Mindanao is agreed by Muslim separatists, ending the 14-year secessionist war in the area.[1]
- January 22 – A crowd of 10,000, mostly farmers demanding land reforms (and rallying against Pres. Aquino), are shot by the troops at Mendiola Bridge during their protest march as they are going to the presidential palace in Manila; 13 farmers killed;[1][2] 98 others injured.[3][4][5]
- January 27 – Pro-Marcos rebel soldiers, led by Col. Oscar Canlas, occupy GMA Network compound, wherein a siege by some 300 mutineers for almost 3 days ends in their surrender to the government, with 35 wounded; Villamor Air Base, wherein an assault results in the death of a mutineer and 16 injuries; as well as Sangley Point Naval base and the government-owned PTV-4. In connection with the coup attempt, at least 509 people would be arrested; 107 soldiers would be convicted by a military court in 1988.[1][2][6][7][8][9]
February
- February 2 – In a national plebiscite for a proposed new constitution, majority votes in favor of it.[1][10] Drafted by the Constitutional Commission of 1986, it would be adopted with a vote of 76.37% in the referendum for its ratification.[11]
- February 8 – A ceasefire between government troops and the guerrilla forces, began in December 1987, expires.[1]
- February 10 – A clash between 40 communist New People's Army (NPA) rebels and the military forces in Lupao, Nueva Ecija kills 17 villagers and a soldier; wounds an Army radioman. AFP chief Ramos apprehended 85 troops to barracks on Feb. 18 during an investigation.[1][4][12][13]
- February 11:
- Manila Standard publishes its first issue.[12]
- A new constitution is declared ratified,[1] replacing the "freedom constitution".
March
- March 5 – A fire destroys a warehouse and nine homes in an industrial-residential area in Marikina, killing 18 people in an old shoe factory which has been converted into a worker's dormitory.[14]
- March 17 – Nineteen army soldiers are killed in a land mine attack, perpetrated by Communist rebels, in Quezon.[15][16]
- March 18 – A bomb explosion in a grandstand at the Philippine Military Academy in Baguio kills four people and injures up to 43 others.[1][15][17]
- March 19 – Communist rebels ambush a military patrol near Bonifacio, Misamis Occidental, killing 18 soldiers in a battle.[1][18]
April
- April 18 – A raid in Fort Bonifacio is staged by 56 mutineers trying to free soldiers detained for the failed Jan. 27 coup attempt; 62 people, including military officers, are kept hostage; but is repelled with a rebel soldier killed and two wounded.[1][7][8][12]
May
- May 4 – An ambush by rebels in Malinao, Aklan leaves 16 government soldiers dead and nine wounded.[1][19]
- May 11 – Legislative elections is held for the first time post-Marcos era.[1] Administration candidates would win more than two-thirds of the House seats and 22 in the Senate, where the oppositionist Grand Alliance for Democracy would secure the remaining two seats.[20]
- May 27 - Geraldine Asis was proclaimed Top 10 in the Miss Universe 1987 pageant night was held in the HarbourFront Centre, Singapore
June
- June 8 – Bernabe Buscayno, former NPA ranking leader and one of the founders of Partido ng Bayan, is seriously wounded[20] in a car ambush in Quezon City wherein a television cameraman is killed.[1][21]
- June 22 – A convoy carrying former rebel priest Conrado Balweg is ambushed by suspected guerrillas in Licuan-Baay, Abra, killing eight.[1][22]
- June 26 – Philippine Airlines PR 206 crashes into Mt. Ugo in Itogon, Benguet with all 50 people on board killed. It is then the country's second worst air accident.[12][23][24][25]
July
- Early July – A tape-recorded conversation between former President Ferdinand Marcos and two Americans in the former's home in Hawaii on May 27 is publicized in Washington, D.C. and in Manila, revealing his plan to launch a coup by this month and to buy weapons to be used in an attack at the presidential palace.[26]
- July 13 – Security forces revealed that another anti-government plot, which involved the takeover of an airport, a school, and the Air Force headquarters, all in Metro Manila, is aborted with the arrest of four army officers in Manila, including a major on July 10.[7][8] Dozen bomb attacks in the past three weeks has been linked to the plot.[26]
- July 15 – The Cordillera Administrative Region (CAR) is created through Executive Order No. 220 signed by Pres. Corazon Cojuangco–Aquino, consisting of, from Region 1, the provinces of Abra, Benguet and Mountain Province, and Baguio, and from Region 2, the provinces of Kalinga-Apayao and Ifugao.
- July 27:
- Fifty soldiers arrest Col. Rolando Abadilla, President Marcos' intelligence chief and a renegade army officer believed to be the mastermind of at least four previous coup plots, at his home near Manila.[27] On July 31, Abadilla is charged with conspiracy to commit rebellion in connection with the recently aborted attempt.[1][28]
- The re-established Congress is opened with its first session.[1][20]
- NPA guerrillas in Luna, Kalinga-Apayao, attack an army convoy, which has been sent to reinforce an army detachment also under attack, killing 18 soldiers.[27]
August
- August 2 – Secretary of the Interior and Local Government Jaime Ferrer is assassinated in Parañaque. Police charge two men regarding the murder on Aug. 25. This is the first assassination of a Cabinet-rank official in country's history.[1][29]
- August 28–29 – A coup attempt against Pres. Aquino, one of the most serious, is launched by members of the Reform the Armed Forces Movement (RAM) led by Col. Gregorio Honasan; rebel soldiers seize Malacañang Palace, Camp Aguinaldo, Villamor Air Base, three television stations in Metro Manila, military camps in Pampanga and Cebu, and the airport in Legazpi City, wherein assaults result in at least 53 fatalities and more than 200 injuries; is repelled by government troops on the 29th. [1][2][7][8][9][12][30]
September
- September 2 – Twenty-one government troops are killed in an ambush at a village in Quezon. On the same day, ten are killed in a raid in the municipal hall of Gonzaga, Cagayan. Both attacks are perpetrated by the NPA rebels.[31]
- September 5 – Almost one platoon of constabulary forces, later colloquially described as the Lason Batch, fell victims to a mass poisoning attack in Zamboanga in which 19 soldiers died and 140 were hospitalized.[32][33][34]
- September 9 and 11 – The entire 25-member Cabinet and three officials of the Presidential Commission on Good Government resign during an emergency meeting following the previous month's failed coup attempt.[35] Two days later, nine officials also tender resignations, including Central Bank governor Jose Fernandez and commissioners of the internal revenue, customs and immigration bureaus.[36] Only few are later replaced by President Aquino, including Vice President Laurel who resigns as foreign secretary.[20][37][38]
- September 12 – Fighting near Samal, Bataan, results in deaths of six soldiers and seven guerrillas.[1]
October
- October 12 – Pres. Aquino files a libel suit against The Philippine Star columnist Luis Beltran for his remarks about her and a mutiny in August. The conviction of Beltran, as well as publisher Maximo Soliven, would be later reversed.[39]
- October 18 – Canonization of San Lorenzo Ruiz, the first Filipino saint.[12][40]
- October 27 – An explosion and fire in a broadcasting complex in Quezon City, which houses media networks, government-owned People's Television Network and privately owned ABS-CBN, cause their stations having their broadcasts interrupted.[1][41]
- October 28 – Three American servicemen and a Filipino civilian are murdered near Clark Air Base.[1][20]
November

- November 11 – Polytechnic University of the Philippines president Nemesio Prudente is wounded in a gun attack wherein the university attorney, Alex Marteja, is killed. Prudente would be wounded in another attack in June 1988.[1][42]
- November 15 – Juanito Rivera, CPP's second highest ranking official, is arrested in Capas, Tarlac.[1][20][43]
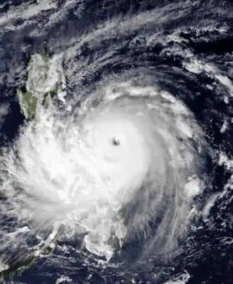
- November 25 – Super Typhoon Nina (Sisang)[1][38] slammed into Luzon,[44] killing 1,063 people and what is believed as the worst typhoon to hit an area in the 20th century.
December


- December 9 – Col. Gregorio Honasan, leader of the August coup attempt, is captured along with four other officers and two civilians in a raid on a townhouse in Manila.[1][20][45] He is later charged with rebellion, and on December 19, is dropped by President Aquino from the military rolls along with 13 other officers.[46]
- December 14–15 – The third ASEAN Summit is held in Manila.[47][48]
- December 20 – Interisland passenger ferry MV Doña Paz, travelling from Leyte to Manila and said to be overloaded, and oil tanker MT Vector collide at Tablas Strait off Mindoro Island, setting both on fire;[38] 26 survived,[20] death toll later estimated to be 4,386;[49] considered the deadliest peacetime maritime disaster in history.[1][2][12][50][51][52]
- December 30 – A regional court orders the release of former colonel Abadilla, who have been involved in coup attempts against Pres. Aquino, allowing him to run in local elections the following month.[1]
Unknown date
- The Tanghalang Pilipino is established as the resident drama company of the Cultural Center of the Philippines.
Holidays
As per Executive Order No. 292, chapter 7 section 26, the following are regular holidays and special days to be observed in the country. The order was approved last July 25.[53] Note that in the list, holidays in bold are "regular holidays" and those in italics are "nationwide special days".
- January 1 – New Year's Day
- April 9 – Araw ng Kagitingan (Bataan and Corregidor Day)
- April 16 – Maundy Thursday
- April 17 – Good Friday
- May 1 – Labor Day
- June 12 – Independence Day
- August 30 – National Heroes Day
- November 1 – All Saints Day
- November 30 – Bonifacio Day
- December 25 – Christmas Day
- December 30 – Rizal Day
- December 31 – Last Day of the Year
In addition, several other places observe local holidays, such as the foundation of their town. These are also "special days."
Entertainment and culture
- March 1 – ABS-CBN launches the Star Network for the relaunch of Channel 2 after six months and the first white tri-ribbon 2 logo laced with a rhomboidal star came to be.
- March 2 – TV Patrol was launched as its first flagship evening newscast replacing the former flagship national news program Balita Ngayon.
Sports
- June 23 – The Tanduay Rhum Makers win the 1987 PBA Open Conference finals against the Great Taste Coffee Makers, 134-120
- August 8 – UAAP Games Green Archers was First Won Against Growling Tigers was Score 72–63.
- August 23 – UAAP Games Blue Eagles was First Won Against Green Archers was Score 95-91.
- September 5 – UAAP Games Green Archers was Won Again Against Growling Tigers was Score 68–60 in Green Archers First Won Meeting on UAAP Games.
- September 8 – The Great Taste Coffee Makers win the 1987 PBA All-Filipino Conference finals against the Hills Bros. Coffee Kings.
- September 26 – UAAP Games Blue Eagles was won Again Against Green Archers was score 98-89 in Blue Eagles First Won Meeting on UAAP Games.
- October 4 – The Ateneo Blue Eagles win the UAAP Season 50 men's basketball championship against the UE Red Warriors, 94–92.
- October 11 – The Letran Knights win the NCAA Season 63 men's basketball championship against the San Sebastian Stags.
- December 13 – The San Miguel Beermen win the 1987 PBA Reinforced Conference finals against the Hills Bros. Coffee Kings.
Births
- January 16 – Sheena Halili
- January 25 – Japeth Aguilar
- March 21 – Rocco Nacino
- March 29 – Andi Manzano
- May 15 – Jennylyn Mercado
- May 26 – Bangs Garcia
- June 1 – Johan Santos
- August 23 – Nikki Gil
- September 26 – Maricris Garcia
- September 29 – Max Eigenmann
- September 30 – Denise Laurel
- October 1 – Tom Rodriguez
- October 10 – Rodjun Cruz
- October 17 – Bea Alonzo
- October 22 – Jade Lopez
- October 30 – Kevin Belingon, mixed martial artist and former MMA World Champion
- December 21 – Ryza Cenon
- December 21 – Valerie Concepcion
- December 25 – Bettina Carlos
- December 25 – LJ Reyes
- December 30 – Jake Cuenca
Deaths
- February 27 – Jose W. Diokno, nationalist and human rights advocate, aged 65.[1]
- March 4 – Rafael Salas, Undersecretary General of the United Nations and Executive Director of the UN Fund for Population Activities, Executive Secretary (1966–1969), aged 59[47]
- May 3 – Roberto Concepcion
- August 24 – Jose Caballero
- September 19 – Leandro Alejandro, secretary-general of BAYAN and oppositionist, aged 27.[1][20][54]
- December 7 – Jaime Ongpin, former Secretary of Finance[20]
- December 20 – Ruben Ecleo Sr., founder of the Philippine Benevolent Missionaries Association, Inc. and mayor of Dinagat, Surigao del Norte since 1963.[55]
- December 23 – Pablo Gomez Sarino, former and longest serving municipal mayor of Bacoor, Cavite, aged 76.
See also
References
- ^ a b c d e f g h i j k l m n o p q r s t u v w x y z aa ab ac Revolutionary Struggle in the Philippines Retrieved 04-19-2021.
- ^ a b c d "#Journeyto30" by Epi Fabonan III, Philstar.com: (1987) "Collision course" January 16, 2016. Retrieved August 1, 2018.
- ^ Richburg, Keith B. (January 23, 1987). "Manila Troops Kill 12 Protesters". The Washington Post. Retrieved April 20, 2021.
- ^ a b "Massacres, incidents of violence against farmers" Rappler. October 23, 2018. Retrieved 05-01-2021.
- ^ –"Timeline of Mendiola massacre: 33 years and counting" Philstar.com (The Philippine Star). January 21, 2020.
–"Mendiola Massacre" GMA News Online. January 22, 2008.
–"The bloody Mendiola massacre took place 34 years ago today" Esquire (Philippines). January 22, 2019.
–"4 things to know about the Mendiola Massacre" Rappler. January 21, 2017.
All aforementioned were retrieved 05-01-2021.
–"The Mendiola massacre: Decades on, Philippine land reform movement remains mired in blood" The Diplomat. January 22, 2021. Retrieved 04-30-2021. - ^ –"Philippines to arrest officers who led military rebellion" The Washington Post. January 31, 1987.
–"General, three officers ordered arrested for coup attempt" AP. January 31, 1987.
Retrieved 04-30-2021. - ^ a b c d "The Final Report of the Fact-Finding Commission:" "IV: Military Intervention in the Philippines: 1986 – 1987" Official Gazette of the Philippines. October 3, 1990. Retrieved 04-25-2021.
- ^ a b c d –"Coup attempts against Aquino" The Washington Post. Dec. 2, 1989.
–"Philippine coup attempts" The New York Times. Dec. 1, 1989.
Retrieved 05-01-2021. - ^ a b "Timeline: Recent coups and attempted coups in the Philippines" Reuters. Nov. 29, 2007. Retrieved 05-01-2021.
- ^ "New Philippines constitution given huge approval" (02-03-1987) AP via Daily News, p. 9-A. (Link) Retrieved 02-24-2022.
- ^ La Viña, Antonio G. M.; Aceron, Joy G. (November 9, 2017). The 1987 Constitution. Anvil Publishing, Inc. ISBN 978-971-27-2908-9. Retrieved April 20, 2021.
- ^ a b c d e f g "30 years of news reportage". Manila Standard. February 10, 2017. Archived from the original on September 21, 2020. Retrieved April 20, 2021.
- ^ –"Philippine army patrol kills 17 civilians as war with leftists resumes" UCA News. February 17, 1987.
–"Death in a quiet Filipino hamlet: 17 civilians caught in the middle" The New York Times. February 17, 1987.
Retrieved 05-01-2021. - ^ "[Untitled article]". United Press International. March 5, 1987. Retrieved June 11, 2025.
- ^ a b Fineman, Mike (March 18, 1987). "22 soldiers killed in mine, bomb attacks on Philippine military". Los Angeles Times. Retrieved April 25, 2021.
- ^ The New York Times (March 18, 1987). "In Philippines: Explosion at Philippine Military Academy kills 4, injures 38". Observer–Reporter. Washington, Pennsylvania. p. A-10. Retrieved June 12, 2025 – via Google Books.
- ^ PMA explosion (information updated in sources):
- Reid, Robert (March 18, 1987). "In Philippines: 19 soldiers die in attack". The Madison Courier. Madison, Indiana. Associated Press. p. 8. Retrieved June 12, 2025 – via Google Books.
- "Bomb kills 4 at academy in Philippines". The Vindicator. Youngstown, Ohio. Associated Press. March 18, 1987. p. 5. Retrieved June 12, 2025 – via Google Books.
- Reid, Robert (March 18, 1987). "25 people killed in Philippine patrol ambush and bombing". Kentucky New Era. Hopkinsville, Kentucky. Associated Press. p. 8. Retrieved June 12, 2025 – via Google Books.
- ^ "Philippine rebels kill 18 soldiers in ambush". Wilmington Morning Star. Wilmington, North Carolina. Associated Press. March 18, 1987. p. 6A. Retrieved June 13, 2025 – via Google Books.
- ^ "Philippine rebels ambush convoy" The Washington Post. May 5, 1987. Retrieved 04-25-2021.
- ^ a b c d e f g h i j Aquino, Belinda (October 1987). "The Philippines in 1987: Politics of Survival?". Philippine Journal of Public Administration (Vol.XXXI, No.4) (PDF). pp. 369–403. Retrieved January 7, 2025 – via Philippine Social Science Council.
- ^ –"Former guerilla chief hurt in Manila ambush" The Washington Post. June 10, 1987.
–"Gunmen in Philippines ambush former rebel" The New York Times. June 9, 1987.
–"Ex-Rebel 'Commander Dante' Enlists in a New Revolution" Los Angeles Times. October 28, 1989.
Retrieved 04-25-2021. - ^ –"Rebel priest escapes ambush unscathed" UPI. June 21, 1987.
–"Former rebel in hiding after surviving assassination attempt" AP. June 23, 1987.
–"Former rebel priest Balweg criticized for tribal reprisal-killing" UCA News. October 13, 1987.
Retrieved 04-25-2021. - ^ —"All 50 Aboard Killed in Airliner Crash" AP. June 27, 1987.
—"50 Killed as Plane Crashes in Philippines" AP via Los Angeles Times. June 26, 1987.
—"50 killed in Philippines as plane hits mountain" The Washington Post. June 26, 1987.
Retrieved 06-01-2022. - ^ For the timelines of related accidents:
—"RP's worst air accidents" (April 20, 2000). Philippine Daily Inquirer, p. 13. Retrieved August 16, 2019.
—"Philippines' worst commercial flight disasters" Philstar.com. July 25, 2014. Retrieved 06-01-2022. - ^ According to Aviation Safety Network database (Link), the said aviation accident was the 2nd worst at that time and currently the 5th. The worst at that time was the one which occurred in May 1964, now the 3rd deadliest, with 80 fatalities (including 1 on the ground). (See the details of May 1964 and June 1987 accidents. Retrieved 02-11-2021.)
On the other hand, it might be the country's worst commercial aviation accident at that time. It was reported that, in 1967, another plane of same aircraft type and from same operator crashed in northern Luzon, with 56 deaths. (Refer to cited news articles.) However, it was proved unverified as there is no such accident in the said database. - ^ a b "Philippine army major held in failed coup attempt". Chicago Tribune. July 14, 1987. Retrieved January 11, 2025.
- ^ a b "Guerrillas kill 18 soldiers in attack on army convoy". The Washington Post. United Press International; (additional) Associated Press. July 27, 1987. Retrieved January 13, 2025.
- ^ Richburg, Keith (July 31, 1987). "Coup attempts against Aquino will lessen, Philippine general predicts". The Washington Post. Retrieved January 11, 2025.
- ^ "Top Aquino aide slain in ambush" Los Angeles Times. August 3, 1987. Retrieved 04-25-2021.
- ^ –Jones, Gregg (August 28, 1987). "Mutinous Philippine Troops Attempt To Overthrow Aquino". The Washington Post. Retrieved April 20, 2021. –"Philippine coup attempt highlights military problems" The Christian Science Monitor. August 31, 1987. Retrieved 05-01-2021.
- ^ "Philippine rebels on the attack" Chicago Tribune. September 4, 1987. Retrieved 04-25-2021.
- ^ Richburg, Keith B. (September 7, 1987). "POISON EYED IN 19 DEATHS IN PHILIPPINES". The Washington Post. ISSN 0190-8286. Retrieved August 7, 2020.
- ^ "Nineteen Military Recruits Dead In Mass Poisoning, Sabotage Suspected With AM-Philippines". AP NEWS. Retrieved August 7, 2020.
- ^ Fineman, Mark (September 7, 1987). "Filipino Troops Given Poisoned Water; 19 Die". Los Angeles Times. Retrieved August 7, 2020.
- ^ "Aquino cabinet quits; gov't to reorganize". The Daily Kent Stater. Kent, Ohio: Kent State University. Associated Press. September 10, 1987. p. 3. Retrieved January 7, 2025 – via Daily Kent Stater Digital Archive.
- ^ "More resignations in Manila". The Washington Post. United Press International. September 11, 1987. Retrieved January 7, 2025.
- ^ Mydans, Seth (September 17, 1987). "No. 2 in the Philippines Quits Cabinet Position". The New York Times. p. A1. Retrieved January 7, 2025.
- ^ a b c "Chronolog: 1987 in review". Wilmington Morning Star. Wilmington, North Carolina. January 1, 1988. pp. 3C – 5C. Retrieved January 7, 2025 – via Google News Archive.
- ^ For this event:
—"Aquino sues Philippine journalist for libel" The Washington Post. Oct. 12, 1987.
—"Today in Philippine history, October 12, 1987" The Kahimyang Project.
For the details of the case:
—"FALSE: Cory Aquino's libel suit vs Beltran was not deemed press freedom issue" Rappler. June 20, 2020.
All were retrieved July 4, 2022. - ^ "Speech of President Corazon Aquino on the canonization of San Lorenzo Ruiz". Official Gazette of the Republic of the Philippines. Retrieved April 20, 2021.
- ^ "Fire Forces Philippine TV, Radio Stations Off the Air". Los Angeles Times. Associated Press. October 27, 1987. Retrieved June 11, 2025.
- ^ "Gunmen wound university president, kill attorney in ambush of car in Manila" Los Angeles Times. November 11, 1987. Retrieved 04-25-2021.
- ^ –"In the Manila Times" The Manila Times (via Pressreader).
–"Government captures ailing rebel official" UPI. November 15, 1987.
Retrieved 04-25-2021. - ^ Abbugao, Martin (November 27, 1987). "Hundreds Are Reported Killed As Typhoon Batters The Philippines". The Washington Post. Retrieved April 20, 2021.
- ^ Mydans, Seth (December 10, 1987). "Leader of Uprising Captured in Manila". The New York Times. p. A3. Retrieved January 13, 2025.
- ^ Mydans, Seth (December 19, 1987). "Manila Drops Jailed Rebel Officer From Army". The New York Times. p. 4. Retrieved January 13, 2025.
- ^ a b Reyes, Eugene (April 1987). "News and Notes". Philippine Journal of Public Administration (Vol.XXXI, No.2) (PDF). pp. 205–209. Retrieved January 11, 2025 – via Philippine Social Science Council.
- ^ "Joint Communique The Third ASEAN Heads of Government Meeting Manila, 14-15 December 1987". ASEAN. Archived from the original on August 6, 2020. Retrieved April 20, 2021.
- ^ Det Norske Veritas Report No. 97-2053, Annex 1: Passenger Vessel Evacuation Descriptions, sec. I.4.1, p. I.36, FSA of HLA on PassengerVessels, C8065\annex 1.doc 1 November 2001. http://research.dnv.com/skj/Fsahla/Annex1.pdf Archived September 30, 2018, at the Wayback Machine
- ^ "Ferry collides with oil tanker near Manila - HISTORY". April 1, 2019. Archived from the original on April 1, 2019. Retrieved August 7, 2020.
- ^ "7 of the World's Deadliest Shipwrecks". Encyclopedia Britannica. Retrieved August 7, 2020.
- ^ "The Sinking of the MV Doña Paz – A Critique on Maritime Disaster Preparedness in the Philippines: an Analysis of the Event" (PDF) Acta Medica Philippina (Vol. 5, No. 3). 2011. Retrieved July 31, 2022.
- ^ "Executive Order No. 292 [BOOK I/Chapter 7-Regular Holidays and Nationwide Special Days]". Official Gazette of the Republic of the Philippines. July 25, 1987. Archived from the original on September 3, 2017. Retrieved February 22, 2022.
- ^ "Best-known leftist leader in Philippines slain in ambush" Los Angeles Times. September 20, 1987. Retrieved 04-25-2021.
- ^ "Senate oks bills on special non-working holidays" Senate of the Philippines. 09-03-2018. Retrieved 02-28-2022.
.svg.png)