Kenocoelus

Kenocoelus
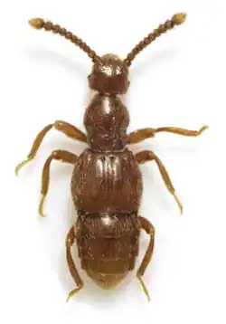
Female Kenocoelus johni
Scientific classification
Kingdom:
Phylum:
Class:
Order:
Family:
Subfamily:
Tribe:
Trichonychini
Genus:
Kenocoelus

Broun, 1911

Kenocoelus is a genus of rove beetles (the family Staphylinidae) containing a number of species, all endemic to New Zealand.[1][2] It is part of the Trichonychini tribe, in the Pselaphinae subfamily of Staphylinidae.

Description

These are small beetles (body size 1.46–1.76mm) with short antennae and small, ovoid eyes.[3] They can be distinguished from similar genera of Trichonychini from their small size, short first antennal segment and pronotum without sulci.

Ant associations

Some species of Kenocoelus have been repeatedly collected within Huberia ant nests suggesting that the beetles are inquilines although interactions between the species have not been directly observed.[3]

Species

  • Kenocoelus dimorphus Broun, 1911
  • Kenocoelus johni Nomura & Leschen, 2015
  • Kenocoelus mikonuiensis Nomura & Leschen, 2015

References

  1. ^ Leschen, R. A.; Lawrence, J. F.; Kuschel, G.; Thorpe, S.; Wang, Q. (2003). "Coleoptera genera of New Zealand" (PDF). New Zealand Entomologist. 26 (1): 15–28. Bibcode:2003NZEnt..26...15L. doi:10.1080/00779962.2003.9722105. S2CID 85828745.
  2. ^ "Kenocoelus Boun 1911". New Zealand Organisms Register. Landcare Research New Zealand. Retrieved 14 August 2017.
  3. ^ a b Nomura, Shûhei; Leschen, Richard A. B. (1 March 2015). "Myrmecophilous Pselaphinae (Coleoptera: Staphylinidae) from New Zealand". The Coleopterists Bulletin. 69 (1): 121–152. doi:10.1649/0010-065x-69.1.121. ISSN 0010-065X. S2CID 86835873.