Kenosha Regional Airport

Kenosha Regional Airport
Summary
Airport typePublic
OwnerCity of Kenosha
ServesKenosha, Wisconsin
OpenedMay 1959 (1959-05)
Time zoneCST (UTC−06:00)
 • Summer (DST)CDT (UTC−05:00)
Elevation AMSL743 ft / 226 m
Coordinates42°35′46″N 087°55′39″W / 42.59611°N 87.92750°W / 42.59611; -87.92750
Websitewww.kenosha.org/...
Maps
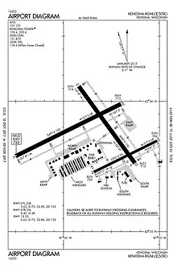
FAA airport diagram
FAA airport diagram
ENW is located in Wisconsin
ENW
ENW
Location of airport in Wisconsin
ENW is located in the United States
ENW
ENW
ENW (the United States)
Runways
Direction Length Surface
ft m
7L/25R 6,600 2,012 Concrete
15/33 4,440 1,353 Concrete
7R/25L 3,302 1,006 Asphalt/concrete
Statistics
Aircraft operations (2021)59,998
Based aircraft (2024)223

Kenosha Regional Airport (IATA: ENW, ICAO: KENW, FAA LID: ENW) is a city-owned public-use airport located four nautical miles (7 km) west of the central business district of Kenosha, a city in Kenosha County, Wisconsin, United States.[1]

The airport is an air-traffic-controlled general aviation facility with no scheduled passenger service.

It is included in the Federal Aviation Administration (FAA) National Plan of Integrated Airport Systems for 2025–2029, in which it is categorized as a national reliever airport facility.[2]

Facilities and aircraft

Kenosha Regional Airport covers an area of 974 acres (394 ha) at an elevation of 743 feet (226 m) above mean sea level. It has three runways: the primary runway 7L/25R is 6,600 by 100 feet (2,012 x 30 m) with a concrete surface; the crosswind runway 15/33 is 4,440 by 100 feet (1,353 x 30 m) with a concrete surface; 7R/25L is 3,302 by 75 feet (1,006 x 23 m) with an asphalt/concrete surface.[1]

For the 12-month period ending December 31, 2021, the airport had 59,998 aircraft operations, an average of 164 per day: 93% general aviation, 7% air taxi and less than 1% military.

In August 2024, there were 223 aircraft based at this airport: 173 single-engine, 20 multi-engine, 17 jet, 12 helicopter and 1 glider.[1]

See also

References

  1. ^ a b c d FAA Airport Form 5010 for ENW PDF, effective August 8, 2024.
  2. ^ "NPIAS Report 2025-2029 Appendix A" (PDF). Federal Aviation Administration. October 28, 2024. Retrieved November 11, 2024.