Sirdenus grayii

Sirdenus grayii
Scientific classification Edit this classification
Kingdom: Animalia
Phylum: Arthropoda
Class: Insecta
Order: Coleoptera
Suborder: Adephaga
Family: Carabidae
Genus: Sirdenus
Species:
S. grayii
Binomial name
Sirdenus grayii
(Wollaston, 1862)
Synonyms
  • Pogonus grayii Wollaston, 1862
  • Pogonus dilutus Fairmaire, 1873
  • Pogonus fulvus Baudi di Selve, 1864

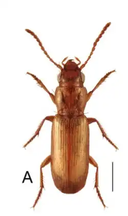
Sirdenus grayii is a species of beetle of the family Carabidae. It is found in the Palaearctic Region (Europe, Asia and North Africa), but also in the Afrotropical Region, the Canary Islands and on Cyprus.

Description

Adults reach a length of about 4–5 mm.

Biology

This species is frequently associated with plants of the Salicornioideae and Arthrocnemetea groups.

The maximum activity period principally occurs in spring, but it has been found from March to July. Adults occupy abandoned galleries excavated by some species of the genus Bledius.[1]

References

  1. ^ Part of this text is from “[https://europeanjournaloftaxonomy.eu/index.php/ejt/article/view/1967 Revision of the tribe Pogonini (Coleoptera, Carabidae, Trechinae) from the Ibero-Balearic region” by José Muñoz-Santiago, Vicente M. Ortuño.  This article incorporates text available under the CC BY 4.0 license.