Yoakum–DeFrenn Army Heliport

Yoakum–DeFrenn Army Heliport
Summary
Airport typeMilitary
Owner/OperatorU.S. Army
LocationFort Hood, Texas, U.S.
Time zoneCST (UTC−6)
 • Summer (DST)CDT (UTC−5)
Elevation AMSL924 ft / 282 m
Coordinates31°08′19″N 097°42′52″W / 31.13861°N 97.71444°W / 31.13861; -97.71444
Maps
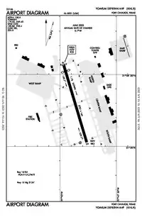
FAA airport diagram of Yoakum–DeFrenn Army Heliport as of June 2023
FAA airport diagram of Yoakum–DeFrenn Army Heliport as of June 2023
Yoakum–DeFrenn Army Heliport is located in Texas
Yoakum–DeFrenn Army Heliport
Yoakum–DeFrenn Army Heliport
Location of Yoakum–DeFrenn Army Heliport in Texas
Runways
Direction Length Surface
ft m
16 3,701a 1,128 Asphalt
34 3,701 1,128 Asphalt
a Runway available for landing on Runway 16 is 3134 feet due to displaced threshold

Yoakum–DeFrenn Army Heliport (IATA: HLR, ICAO: KHLR, FAA LID: HLR) is a military airport located at the U.S. Army's Fort Hood, in Killeen, Texas, U.S.[1][2][3] Formerly Hood Army Airfield, the airport was renamed on 4 May 2023 in honor of Keith Yoakum and Jason DeFrenn.[4]

Facilities

Yoakum–DeFrenn Army Heliport has a single 3,701-by-144-foot (1,128 m × 44 m) asphalt runway, identified as 16/34. In the 16 direction, the threshold is displaced by 567 feet (173 m), resulting in a usable length for landing of 3,134 feet (955 m).[1][2][3]

The base is also served by Robert Gray Army Airfield (IATA: GRK, ICAO: KGRK, FAA LID: GRK) and two asphalt auxiliary landing strips used for training at North Fort Hood:

References

  1. ^ a b "Airport data for Hood AAF". FAA. April 3, 2014. Retrieved April 4, 2014.
  2. ^ a b "Airport diagram for Hood AAF" (PDF). FAA. April 3, 2014. Archived from the original (PDF) on April 7, 2014. Retrieved April 4, 2014.
  3. ^ a b "Airport/Facility Directory entry for Hood AAF" (PDF). FAA. Retrieved April 4, 2014.
  4. ^ "Airfield at Fort Cavazos renamed to honor 2 Army pilots killed in Iraq". Stars and Stripes. June 7, 2023. Retrieved June 26, 2023.
  5. ^ "Airport data for Shorthorn Aux Landing Strip". FAA. April 3, 2014. Retrieved April 4, 2014.
  6. ^ "Pilot Information for Shorthorn Aux Landing Strip". OurAirports.com. Retrieved April 4, 2014.
  7. ^ "Airport data for Longhorn Aux Landing Strip". FAA. April 3, 2014. Retrieved April 4, 2014.
  8. ^ "Pilot Information for Longhorn Aux Landing Strip". OurAirports.com. Retrieved April 4, 2014.